เลือกสีตามสไลต์ที่คุณชอบ:
SaveOurSea.NET  

กลับไป   SaveOurSea.NET > เรื่องเล่าชาวทะเล

ตอบ
 
Share คำสั่งเพิ่มเติม เรียบเรียงคำตอบ
  #1  
เก่า 20-03-2011
KENG@SK's Avatar
KENG@SK KENG@SK is offline
Senior Member
 
วันที่สมัคร: May 2010
ข้อความ: 234
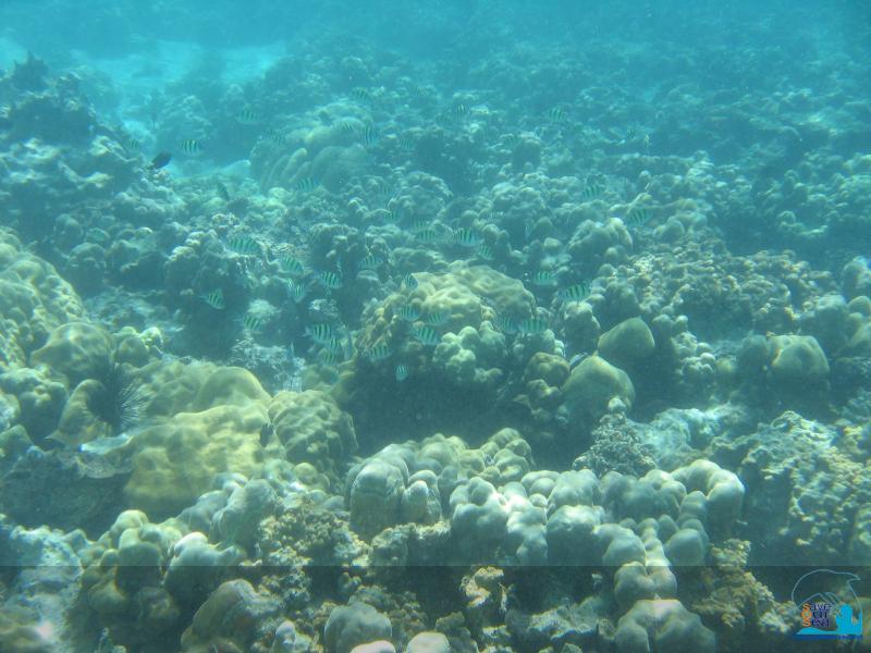
Default สถานการณ์ปะการังที่ตรุเตา

วันที่13-16มีนาคมผมไปอยู่ที่ตรุตเตาและดำฟรีสกินอยุ่แถวนั้นพอผมได้เห็นสภาพปะการัง
รวมทั้งถามเจ้าหน้าที่ที่ไปกับผมแล้วกับข่าวที่ออกมาแล้วมันมีข้อแตกต่างกับมากเลยทีเดียวครับ
จากที่ข่าวบอกว่าฟื้นคืน100%แล้วกลับกลายเป็นว่าจุดที่ฟอกขาวตายเกือบทั้งหมด
และยังมีผลกระทบไปถึงจุดอื่นอีกหลายจุดที่ผมได้ไปด้วยครับ
รูปขนาดเล็ก
คลิ๊กเพื่อดูภาพขนาดใหญ่

Name:	IMG_4647.jpg
Views:	0
Size:	70.3 KB
ID:	11162   คลิ๊กเพื่อดูภาพขนาดใหญ่

Name:	IMG_4681.jpg
Views:	5
Size:	37.7 KB
ID:	11163   คลิ๊กเพื่อดูภาพขนาดใหญ่

Name:	IMG_4623.jpg
Views:	6
Size:	34.6 KB
ID:	11164   คลิ๊กเพื่อดูภาพขนาดใหญ่

Name:	IMG_4698.jpg
Views:	0
Size:	74.2 KB
ID:	11165  
ตอบพร้อมอ้างอิงข้อความเดิม
  #2  
เก่า 20-03-2011
KENG@SK's Avatar
KENG@SK KENG@SK is offline
Senior Member
 
วันที่สมัคร: May 2010
ข้อความ: 234
Default

เกาะรอกรอย
วันแรกผมไปถึงได้ไปดำที่ร่องน้ำจาบังและด้านหลังเกาะหินงามที่มีปะการังกาแล๊กซี่เยอะมากแต่.......
ผมลืมหยิบกล้องไปจากที่พักครับเลยไม่มีรูปมา
วันที่2เราไปตั้งต้นกันที่เกาะหินซ้อนแต่คลื่นแรงครับเลยส่งผมกับน้าดุสิตไปดูลาดเลาก่อน
พอลงแล้วเลยมีข้อสรุปว่าจะให้ผมถ่ายรุปคนเดียวแล้วค่อยไปดูกัน
เพราะว่าน้ำแรงและคลื่นสุงมากคนอื่นลงแล้วอาจจะมีปัญหาได้
ผมอยู่ในน้ำได้ไม่ถึง10นาทีเพราะว่าต้องรีบขึ้นไม่งั้นคนบนเรือจะเมาเอาขาขึ้นลำบากมากเพราะเรือโยกขึนโยกลง2ฟุตถ้าพล่าดทีโดนบันไดเรือฟาดเอาแน่
หลังจากเช็ครุปก็เกิดอาหารเซ็งครับมัวทุกรูปเพราะน้ำขุ่นมาก
จะดำลงไปก้ไม่ได้น้ำแรงมาลงไปคงได้ปลิวกันแน่

หลังจากนั้นเลยไปที่เกาะรอกรอยที่เกาะนี้เป็นปะการังน้ำตื้นส่วนใหญ่เป็นปะการังโขดเป็นส่วนใหญ่
มีการตายของปะการังน้อยมากถือว่าอยู่ระดับสมบูรณ์มากมีการตายไม่ถึง5%
และยังพบปะการังเขากวางขนาดเล็กที่ยังมีชีวิตรวมทั้งปะการังกาเล็กซี่บ้างประปราย
แต่มีหอยเม่นเยอะมากซึ่งไม่ทราบว่าเกิดจากอะไร
รูปขนาดเล็ก
คลิ๊กเพื่อดูภาพขนาดใหญ่

Name:	IMG_4717.jpg
Views:	1
Size:	79.2 KB
ID:	11166   คลิ๊กเพื่อดูภาพขนาดใหญ่

Name:	IMG_4698.jpg
Views:	1
Size:	74.2 KB
ID:	11167   คลิ๊กเพื่อดูภาพขนาดใหญ่

Name:	IMG_4689.jpg
Views:	0
Size:	41.1 KB
ID:	11168   คลิ๊กเพื่อดูภาพขนาดใหญ่

Name:	IMG_4872.jpg
Views:	3
Size:	49.0 KB
ID:	11169  

แก้ไขครั้งสุดท้ายโดย KENG@SK : 20-03-2011 เมื่อ 21:49
ตอบพร้อมอ้างอิงข้อความเดิม
  #3  
เก่า 20-03-2011
KENG@SK's Avatar
KENG@SK KENG@SK is offline
Senior Member
 
วันที่สมัคร: May 2010
ข้อความ: 234
Default

เกาะยาง
ต่อมาเป็นเกาะยางด้านหน้าครับที่นี่พอความเสียหาของปะการังค่อนข้างมากประมาณ30-40เปอร์เซ็น
ประการังเขากวางตายไปเกือบทั้งหมดมากกว่า95%มีปะการังโขดตายบ้างแต่ไม่มาก
ปะการังเขากวางตายสนิทครับบางส่วนไปกองกับพื้นแล้ว
รูปขนาดเล็ก
คลิ๊กเพื่อดูภาพขนาดใหญ่

Name:	IMG_4775.jpg
Views:	3
Size:	59.3 KB
ID:	11174   คลิ๊กเพื่อดูภาพขนาดใหญ่

Name:	IMG_4776.jpg
Views:	1
Size:	75.7 KB
ID:	11175   คลิ๊กเพื่อดูภาพขนาดใหญ่

Name:	IMG_4732.jpg
Views:	3
Size:	56.0 KB
ID:	11176   คลิ๊กเพื่อดูภาพขนาดใหญ่

Name:	IMG_4778.jpg
Views:	0
Size:	49.3 KB
ID:	11177  

แก้ไขครั้งสุดท้ายโดย KENG@SK : 20-03-2011 เมื่อ 21:48
ตอบพร้อมอ้างอิงข้อความเดิม
  #4  
เก่า 20-03-2011
KENG@SK's Avatar
KENG@SK KENG@SK is offline
Senior Member
 
วันที่สมัคร: May 2010
ข้อความ: 234
Default

ที่นี่ยังมีดาวขนนกหลากหลายสีสันอยู่ทั้งสีเหลืองดำน้ำตาลแดงซึ่งช่วยเพิ่มสีสันให้ที่นี่ได้เยอะเลยครับ
รูปขนาดเล็ก
คลิ๊กเพื่อดูภาพขนาดใหญ่

Name:	IMG_4731.jpg
Views:	0
Size:	49.5 KB
ID:	11182   คลิ๊กเพื่อดูภาพขนาดใหญ่

Name:	IMG_4738.jpg
Views:	3
Size:	40.8 KB
ID:	11183   คลิ๊กเพื่อดูภาพขนาดใหญ่

Name:	IMG_4754.jpg
Views:	3
Size:	48.1 KB
ID:	11184  

แก้ไขครั้งสุดท้ายโดย KENG@SK : 20-03-2011 เมื่อ 21:50
ตอบพร้อมอ้างอิงข้อความเดิม
  #5  
เก่า 20-03-2011
KENG@SK's Avatar
KENG@SK KENG@SK is offline
Senior Member
 
วันที่สมัคร: May 2010
ข้อความ: 234
Default

เกาะหินงาม
เกาะหินงามด้านหน้าที่เรื่อเข้าไปส่งนักท่องเทียวปะการังมีมีการตายประมาณ15%ของทั้งหมด
และที่ตายคือปะการังเขากวางอีกตามเคย
รอบๆเกาะมีปลานกแก้ว1ฝูงที่เกาะกลุ่มกันเล็มสาหร่ายบนหินเป็นฝูงใหญ่จำนวนมากถึง100ตัว
ในวันแรกที่ผมไปผมได้ไปที่ด้านหลังของเกาะหินงามมีปะการังกาเล็กซี่จำนวนมากและอยู่ในสภาพสมบรณ์
แต่ผมลืมเอากล้อติดไปด้วยเลยไม่ได้ถ่ายรูปมา
ด้านตะวันตกเฉียงใต้ของเกาะน้าดุสิตซึ่งเป็นจนท.ที่ไปกับผมบอกว่ามีการฟอกขาวอยู่แต่ผมไม่ได้ไปครับ
รูปขนาดเล็ก
คลิ๊กเพื่อดูภาพขนาดใหญ่

Name:	IMG_4819.jpg
Views:	0
Size:	98.2 KB
ID:	11189   คลิ๊กเพื่อดูภาพขนาดใหญ่

Name:	IMG_4822.jpg
Views:	0
Size:	101.6 KB
ID:	11190   คลิ๊กเพื่อดูภาพขนาดใหญ่

Name:	IMG_4828.jpg
Views:	0
Size:	58.0 KB
ID:	11191   คลิ๊กเพื่อดูภาพขนาดใหญ่

Name:	IMG_4829.jpg
Views:	1
Size:	64.5 KB
ID:	11192  

แก้ไขครั้งสุดท้ายโดย KENG@SK : 20-03-2011 เมื่อ 21:52
ตอบพร้อมอ้างอิงข้อความเดิม
  #6  
เก่า 20-03-2011
KENG@SK's Avatar
KENG@SK KENG@SK is offline
Senior Member
 
วันที่สมัคร: May 2010
ข้อความ: 234
Default

เกาะผึ้งในด้านที่ติดกับเกาะดง
เช้าวันต่อมาผมไปดำน้ำที่เกาผึ้งด้านที่ติดกับเกาะดงจากคำบอกเล่าของครูคนหนึ่งที่ไปกับเรือผม
บอกว่าแต่ก่อนเคยมีดงปะการังอ่อน กัลปังหา ขึ้นหนาแน่นแต่โดนสึนามิกวาดซะเหี้ยน..
หลังๆเหลือแต่ปะการังเขากวางและดอกไม้ทะเล
พอเรือจอดผมรีบกระโดดจ๋อมลงไป...
ภาพที่เห็นก็ทำให้ผมตกใจไม่แพะกับที่หน้าหาดเกาะอาดัง
ปะการังกว่า70%ตาย.....ดงปะการังเขากวางเหลือแต่เศษกองอยุ่บนพื้น
ปะการังโขดที่พบว่าตายน้อยมากในที่อื่นก็ยังมีการตายที่นี่กัลปังหาก็หายเรียบ
น่าเศร้าจริงๆครับ
รูปขนาดเล็ก
คลิ๊กเพื่อดูภาพขนาดใหญ่

Name:	IMG_4846.jpg
Views:	0
Size:	61.6 KB
ID:	11195   คลิ๊กเพื่อดูภาพขนาดใหญ่

Name:	IMG_4854.jpg
Views:	0
Size:	34.2 KB
ID:	11196   คลิ๊กเพื่อดูภาพขนาดใหญ่

Name:	IMG_4878.jpg
Views:	3
Size:	38.2 KB
ID:	11197   คลิ๊กเพื่อดูภาพขนาดใหญ่

Name:	IMG_4839.jpg
Views:	3
Size:	34.6 KB
ID:	11198  

แก้ไขครั้งสุดท้ายโดย KENG@SK : 25-03-2011 เมื่อ 09:38
ตอบพร้อมอ้างอิงข้อความเดิม
  #7  
เก่า 20-03-2011
KENG@SK's Avatar
KENG@SK KENG@SK is offline
Senior Member
 
วันที่สมัคร: May 2010
ข้อความ: 234
Default

ปลาที่นี่ก็ยังมีอยู่พอสมควรครับมีทั้งปักเป้าหน้าหมา ปลาการ์ตูนต่างๆ ปลาบู่
ปลาแพะ และปลาผีเสื้ออีกหลากหลายชนิด
รูปขนาดเล็ก
คลิ๊กเพื่อดูภาพขนาดใหญ่

Name:	IMG_4686.jpg
Views:	3
Size:	50.6 KB
ID:	11170   คลิ๊กเพื่อดูภาพขนาดใหญ่

Name:	IMG_4706.jpg
Views:	1
Size:	75.4 KB
ID:	11171   คลิ๊กเพื่อดูภาพขนาดใหญ่

Name:	IMG_4711.jpg
Views:	2
Size:	94.0 KB
ID:	11172   คลิ๊กเพื่อดูภาพขนาดใหญ่

Name:	IMG_4713.jpg
Views:	0
Size:	78.0 KB
ID:	11173  
ตอบพร้อมอ้างอิงข้อความเดิม
  #8  
เก่า 20-03-2011
KENG@SK's Avatar
KENG@SK KENG@SK is offline
Senior Member
 
วันที่สมัคร: May 2010
ข้อความ: 234
Default

ปะการังที่ยังมีชีวิตอยู่คือปะการังโขด ปะการังอ่อน ปะการังดอกไม้ทะเลซึ่งพบเป็นแถบเลยทีเดียว และยังพบปะการังลูกโป่งเล็กอยู่อีก1กอ
รูปขนาดเล็ก
คลิ๊กเพื่อดูภาพขนาดใหญ่

Name:	IMG_4740.jpg
Views:	0
Size:	51.8 KB
ID:	11178   คลิ๊กเพื่อดูภาพขนาดใหญ่

Name:	IMG_4790.jpg
Views:	0
Size:	47.4 KB
ID:	11179   คลิ๊กเพื่อดูภาพขนาดใหญ่

Name:	IMG_4767.jpg
Views:	3
Size:	51.3 KB
ID:	11180   คลิ๊กเพื่อดูภาพขนาดใหญ่

Name:	IMG_4783.jpg
Views:	0
Size:	54.9 KB
ID:	11181  
ตอบพร้อมอ้างอิงข้อความเดิม
  #9  
เก่า 20-03-2011
KENG@SK's Avatar
KENG@SK KENG@SK is offline
Senior Member
 
วันที่สมัคร: May 2010
ข้อความ: 234
Default

อ่าวเรือใบ
ที่ถัดมาคืออ่าวเรือใบด้านหลังเกาะอาดังที่นี่มีปะการังตายมากถึง%
โดยปะการังที่ตายเป็นปะการังเขากวางและแกรังโต๊ะทั้งหมดบางจุด
ปะการังโต๊ะขนาดหลายๆตารางเมตรได้ตายไปอย่างน่าเสียดายรวมทั้งมีร่องรอยการระเบิดปลาอีกด้วย
ปลาที่พบมีค่อนชข้างน้อยและเป็นปลาที่สามารถพบได้ทั่วไปอยู่แล้ว
รูปขนาดเล็ก
คลิ๊กเพื่อดูภาพขนาดใหญ่

Name:	IMG_4804.jpg
Views:	1
Size:	73.6 KB
ID:	11185   คลิ๊กเพื่อดูภาพขนาดใหญ่

Name:	IMG_4808.jpg
Views:	0
Size:	67.5 KB
ID:	11186   คลิ๊กเพื่อดูภาพขนาดใหญ่

Name:	IMG_4817.jpg
Views:	0
Size:	32.5 KB
ID:	11187   คลิ๊กเพื่อดูภาพขนาดใหญ่

Name:	IMG_4813.jpg
Views:	0
Size:	47.5 KB
ID:	11188  

แก้ไขครั้งสุดท้ายโดย KENG@SK : 20-03-2011 เมื่อ 21:51
ตอบพร้อมอ้างอิงข้อความเดิม
  #10  
เก่า 20-03-2011
KENG@SK's Avatar
KENG@SK KENG@SK is offline
Senior Member
 
วันที่สมัคร: May 2010
ข้อความ: 234
Default

หน้าที่ทำการหน่วยพิทักษ์อุทยานที่5แหลมสน
ตอนเย็นผมได้ไปดำน้ำหน้าหาดหน้าที่ทำการหน่วยพิทักษ์อุทยานที่5แหลมสนที่ผมไปพัก
แต่ผมไม่ได้พกกล้องไปด้วยเพราะแบตเตอรี่หมดตั้งแต่ที่เกาะหินงามแล้ว
พอผมว่ายไปด้านขวาของหาดก็พบภาพที่น่าเศร้าเป็นอย่างมากปะการังทั้งหมดตาย
โครงสร้างแข็งก็แต่หักไปกองอยู่กับพื้นทรายซะมาก
มีร่องรอยว่ามีดงปะการังเขากวางขึ้นอยู่หนาแน่นแต่ตอนนี้มันไม่เหลือแล้ว...
จากที่ผมถามน้าดุสิตได้คำตอบว่ามันตายมา3-4ปีแล้วเพราะอุณหภูมิที่สูงขึ้น
และคงฟื้นยากถึงฟื้นได้คงอีกเป็น10ปีกว่าจะกลับมา
รูปขนาดเล็ก
คลิ๊กเพื่อดูภาพขนาดใหญ่

Name:	DSC01300.jpg
Views:	7
Size:	59.5 KB
ID:	11193   คลิ๊กเพื่อดูภาพขนาดใหญ่

Name:	DSC01301.jpg
Views:	9
Size:	50.6 KB
ID:	11194  

แก้ไขครั้งสุดท้ายโดย KENG@SK : 20-03-2011 เมื่อ 21:53
ตอบพร้อมอ้างอิงข้อความเดิม
ตอบ


กฎการส่งข้อความ
You may not post new threads
You may not post replies
You may not post attachments
You may not edit your posts

BB code is ใช้ได้
Smilies are ใช้ได้
[IMG] code is ใช้ได้
HTML code is งดใช้

Forum Jump


เวลาทั้งหมดอยู่ในเขตเวลา GMT +7 และเวลาในขณะนี้คือ 03:24


vBulletin รุ่น 3.8.10
สงวนลิขสิทธิ์ ©2000-2025, บริษัท Jelsoft Enterprises จำกัด
Ad Management plugin by RedTyger