เลือกสีตามสไลต์ที่คุณชอบ:
SaveOurSea.NET  

กลับไป   SaveOurSea.NET > เรื่องเล่าชาวทะเล

ตอบ
 
Share คำสั่งเพิ่มเติม เรียบเรียงคำตอบ
  #11  
เก่า 27-08-2011
ชายไม่มีชาม ชายไม่มีชาม is offline
Member
 
วันที่สมัคร: Aug 2009
สถานที่: Bangkok
ข้อความ: 87
ส่งข้อความผ่าน MSN ถึง ชายไม่มีชาม
Default

ทุกวันตอนบ่าย เมื่อน้ำลดเราจะได้เห็นเต่ามากินหญ้าทะเลที่แถว Jetty
รูป
 
ตอบพร้อมอ้างอิงข้อความเดิม
  #12  
เก่า 27-08-2011
ชายไม่มีชาม ชายไม่มีชาม is offline
Member
 
วันที่สมัคร: Aug 2009
สถานที่: Bangkok
ข้อความ: 87
ส่งข้อความผ่าน MSN ถึง ชายไม่มีชาม
Default

ยืนที่ Jetty มองย้อนกลับไปที่รี เลยไปด้านหลังคือ Dive Shop ซึ่งอยู่อีกรีสอร์ท นึง
ที่ Beach Café ไม่มี Dive Shop
รูปขนาดเล็ก
คลิ๊กเพื่อดูภาพขนาดใหญ่

Name:	IMG_9737_FB.jpg
Views:	0
Size:	64.6 KB
ID:	12117  
ตอบพร้อมอ้างอิงข้อความเดิม
  #13  
เก่า 27-08-2011
ชายไม่มีชาม ชายไม่มีชาม is offline
Member
 
วันที่สมัคร: Aug 2009
สถานที่: Bangkok
ข้อความ: 87
ส่งข้อความผ่าน MSN ถึง ชายไม่มีชาม
Default

Dive shop ที่รีสอร์ทถัดไป ชื่อ Losman Danakan ทุกวันเรือจะมารับเราที่ Jetty ที่ Beach Cafe เพื่อไปดำน้ำ

เราดำน้ำกันที่ เดราวัน 10 Day dives + 3 Night dives

และดำที่ Sangkalaki และ Kakaban อีก เกาะล่ะ 2 Dives

รวมทั้งหมด 17 Dives ใน 5 วัน
รูป
 
ตอบพร้อมอ้างอิงข้อความเดิม
  #14  
เก่า 27-08-2011
ชายไม่มีชาม ชายไม่มีชาม is offline
Member
 
วันที่สมัคร: Aug 2009
สถานที่: Bangkok
ข้อความ: 87
ส่งข้อความผ่าน MSN ถึง ชายไม่มีชาม
Default

มาดู Dive site ที่เดราวัน กันบ้าง ทั้ง 14 dives ที่ เดราวัน ผมดำน้ำเพราะทางด้านใต้ของเกาะ dive leader บอกว่าด้านบนไม่ค่อยมีอะไร

สำหรับใต้น้ำที่ Derawan อาจเจอตัวประหลาดไม่เยอะเท่าที่ Lembeh แต่ถ้าเอาภาพรวมทั้งบนบกและใต้น้ำ ที่นี่ดีกว่า Lembeh มาก
รูป
 
ตอบพร้อมอ้างอิงข้อความเดิม
  #15  
เก่า 27-08-2011
ชายไม่มีชาม ชายไม่มีชาม is offline
Member
 
วันที่สมัคร: Aug 2009
สถานที่: Bangkok
ข้อความ: 87
ส่งข้อความผ่าน MSN ถึง ชายไม่มีชาม
Default

ปะการังใต้น้ำที่ Derawan สมบูรณ์มากแน่นไปหมด เพราะที่นี่เค้าอนุรักษ์
อยู่ที่นั้นไม่เห็นเรือประมงขนาดใหญ่เลยสักวัน มีแต่ชาวประมงใช้เบ็ดตกปลา
เสียดายบ้านเรา เสร็จอวนลากหมด แม้แต่ในเขตอุทยาน
รูป
 
ตอบพร้อมอ้างอิงข้อความเดิม
  #16  
เก่า 27-08-2011
ชายไม่มีชาม ชายไม่มีชาม is offline
Member
 
วันที่สมัคร: Aug 2009
สถานที่: Bangkok
ข้อความ: 87
ส่งข้อความผ่าน MSN ถึง ชายไม่มีชาม
Default

ปลาน้อยใหญ่ว่ายน้ำอย่างมีความสุข
รูป
 
ตอบพร้อมอ้างอิงข้อความเดิม
  #17  
เก่า 27-08-2011
ชายไม่มีชาม ชายไม่มีชาม is offline
Member
 
วันที่สมัคร: Aug 2009
สถานที่: Bangkok
ข้อความ: 87
ส่งข้อความผ่าน MSN ถึง ชายไม่มีชาม
Default

มาดูรูปสัตว์ใต้น้ำกันบ้าง
ผมเรียงตามที่เจอนะครับ Ghost Pipe Fish เป็นตัวแรกที่ตอนรับเราที่ เดราวัน
หลังจากนั้นก็เจอ Ghost Pipe Fish เกือบทุกวัน เยอะมาก
รูป
    
ตอบพร้อมอ้างอิงข้อความเดิม
  #18  
เก่า 27-08-2011
ชายไม่มีชาม ชายไม่มีชาม is offline
Member
 
วันที่สมัคร: Aug 2009
สถานที่: Bangkok
ข้อความ: 87
ส่งข้อความผ่าน MSN ถึง ชายไม่มีชาม
Default

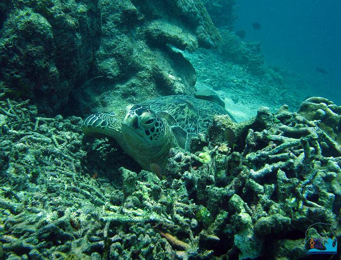
เต่าเจอเยอะมาก บางครั่งถ่ายรูปอีกตัวอยู่หันหน้าไปเต่าอยู่ข้างเลย ตกใจเหมือนกัน บางตัวไม่ว่ายหนีด้วย
รูปขนาดเล็ก
คลิ๊กเพื่อดูภาพขนาดใหญ่

Name:	IMG_9803_FB.jpg
Views:	0
Size:	63.9 KB
ID:	12133  
รูป
   
ตอบพร้อมอ้างอิงข้อความเดิม
  #19  
เก่า 27-08-2011
ชายไม่มีชาม ชายไม่มีชาม is offline
Member
 
วันที่สมัคร: Aug 2009
สถานที่: Bangkok
ข้อความ: 87
ส่งข้อความผ่าน MSN ถึง ชายไม่มีชาม
Default

จะลงไปดู ปลาแมนดารินจู๋จี๋กันสักหน่อย ปรากฏว่าเจอเจ้าปลากบ นั่งรออยู่หน้าบ้านเจ้าแมนดารินเฉยเลย
ไม่เห็น ปลาแมนดารินสักตัว ไม่รู้ว่าลงไปว่ายในท้องเจ้าปลากบตัวนี้แล้วหรือป่าวนะ
รูป
 
ตอบพร้อมอ้างอิงข้อความเดิม
  #20  
เก่า 27-08-2011
ชายไม่มีชาม ชายไม่มีชาม is offline
Member
 
วันที่สมัคร: Aug 2009
สถานที่: Bangkok
ข้อความ: 87
ส่งข้อความผ่าน MSN ถึง ชายไม่มีชาม
Default

ดำน้ำมาเป็นสิบปี เพิ่งเคยเจอเจ้า Two-eyed Lion Fish เจอที่เดียวสองตัวพร้อมกัน แต่ถ่ายทันแค่ตัวเดียว
รูปขนาดเล็ก
คลิ๊กเพื่อดูภาพขนาดใหญ่

Name:	IMG_9919_FB.jpg
Views:	0
Size:	92.7 KB
ID:	12137  
รูป
   
ตอบพร้อมอ้างอิงข้อความเดิม
ตอบ


กฎการส่งข้อความ
You may not post new threads
You may not post replies
You may not post attachments
You may not edit your posts

BB code is ใช้ได้
Smilies are ใช้ได้
[IMG] code is ใช้ได้
HTML code is งดใช้

Forum Jump


เวลาทั้งหมดอยู่ในเขตเวลา GMT +7 และเวลาในขณะนี้คือ 11:18


vBulletin รุ่น 3.8.10
สงวนลิขสิทธิ์ ©2000-2025, บริษัท Jelsoft Enterprises จำกัด
Ad Management plugin by RedTyger